Success in the EC/RGC Joint Research Scheme 2017

Prof Johnny C.-L. Chan, Chair Professor of Atmospheric Science and Director of the Guy Carpenter Asia-Pacific Climate Impact Centre, secured major funding in the latest round of the prestigious European Council (EC)/Research Grant Council (RGC) Joint Research Scheme.

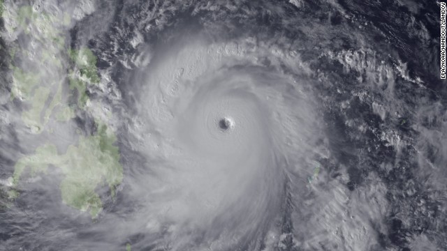
The funding, worth almost HKD 2 M, shall allow Prof Chan to develop a computer modeling system to predict the frequency of tropical cyclone landfalls in the East Asia region as well as their intensities, which involves a suite of models that includes coupling with the ocean.

Prof Chan will also embark on the investigation to project the effects of global warming on the possible changes in typhoon landfall activities in the region.

This is meaningful, especially to the insurance sectors as well as government planners, for future predictions or projections under different climate change scenarios.

The research work will be carried out in collaboration with Professor Ralf Toumi of Imperial College, UK, and forms part of the Horizon 2020 project led by Dr Fred F. Hattermann of the Potsdam Institute for Climate Impact Research, Germany.

typhoon

We use cookies to ensure you get the best experience on our website.

More Information